Where: Bamboo Island/ Phi Phi Islands / Thailand
When: April/2017
Water temperature: warm
Visibility: Good (about 10-15 meters)
Main attractions: Corals, Indo-Pacific fishes
Duration: approximately 30 minutes.
Before starting with the underwater experience, I will tell you how we got there:
This short snorkeling session started as part of a day trip by speedboat from Railay Beach to the Phi Phi Lee main attractions.
Firstly, we saw the scenic Maya Bay, with its stunning limestone walls in contrast with the light green sea. There was a considerable number of speedboats, but although it is no longer a pristine beach, it still catches our eyes.


The second stop was on Pileh Lagoon. It is placed on the Phi Phi Lee Island, the same where Maya Bay is situated. It is definitely worth visiting!

We finally arrived at our snorkeling playground. Bamboo Island (Koh Mai Phai by the locals). It is a small flat island (no limestone cliffs there), with lots of green and a white sand beach. Its situated in the northern part of the Phi Phi group of islands, as you can see on the map below:
Now about the snorkeling:
The corals were in good condition and variety. This was the common scenario:


Gorgonian Sea Fan _ Annella mollis

There was a good number of sea fans, some in good condition and others with some damages. I put here 2 photos of the one that impressed me the most (not too big but looked like a bonsai tree).

Brain Coral _ Symphyllia sp.

These brain corals were huge, I remember seeing just a couple of them. But, as the time was short, there must be many more.

Staghorn Coral _ Acropora formosa

The staghorn corals (the Indian Ocean ones) are hard corals with lots of cilindrical axial coralites and radial tube-shaped branches. They are the perfect habitat for little fishes, mostly Damselfishes. In this picture, we can see the Reticulate Dascylus (the white/black one) and the Lemon Damsel (the yellow one).
Mountain or Hump coral _ Porites lutea

Very common on the Andaman Sea, they form huge mountains that looks amazing.
Mushroom coral _ Fungia fungites

Not a common find in my Thailand snorkeling session, and harder to find due to its small size. Looks like an upside down mushroom tip.
Green table coral _ Acropora millepora

These beautiful species are branching stony corals, tey can be seen in different colors, but the green one was the most common I saw (refering to the Thailand West Coast).
Giant Table Coral _ Acropora hyacinthus

A big table coral (more tha a meter in diameter) with two triangle butterflyfish searching for food.
Leaf Plate Coral _ Montipora capricornis

These one look like a lettuce plantation, not in large number on the place.


Andaman Butterflyfish _ Chaetodon andamanensis

A fish native of the Indian Ocean, with a bright yellow color, a black bar on its face and a black spot near its caudal fin.

And here you can see the juvenile specimen taking shelter on a staghorn coral:

Chevron butterflyfish _ Chaetodon trifascialis

A very cool fish, notorious for eating from Acropora corals debris. It was the only time I saw it on Thailand.
Threadfin Butterflyfish _ Chaetodon auriga

Another uncommon finding, this one didn’t let me get closer for a better look.
Eight-banded Butterflyfish _ Chaetodon octofasciatus

If you see this fish sideways, will see only 7 black vertical stripes. The stripe number 8 can only be seen if you watch it by the front since it covers its snout vertically. I like its “punk hairstyle” dorsal fins.
Moorish Idol _ Zanclus cornutus

The beautiful Moorish Idol, easy to identify and a very common finding.
This pic with the blue ocean as a background is so nice:

Dusky parrotfish _ Scarus niger

This is a male adult one. Their green eyebrows, pnk fins and multicolored tail are unique. This one was swimming solo, sometimes they swim in groups (a male and his female harem).
Quoy Parrotfish _ Scarus quoyi

Found on rich coral areas, they eat mostly algae on hard corals (so they play an important role on the coral/algae balance). If you pay atention, you can hear the parrotfishes biting some hard corals. Take a look at other angles of this fine fish:


Blue-Barred Parrotfish _ Scarus ghobban

This is the adult female specimen of the Blue-Barred Parrotfish. It was a rare finding, and I did not remember seeing the male one…
Slingjaw Wrasse _ Epibulus insidiator

This one looks a lot like his rare cousin “Dwarf Sligjaw Wrasse”. But since it does not have the featured yellow pectoral fin, it must be the juvenile male form of the much more common regular Slingjaw Wrasse.
Indo-Pacific Sergeant _ Abudefduf vaigiensis

This fish has usually 5 black vertical bands on its body, the last one near the caudal fins. It is yellow on the upper body and oval shaped. Very common near boats and not afraid of humans.
White Damsel _ Dischistodus perspicillatus

On sandy banks, very agressive defending its territory. Most of the times they are defending their eggs from other species, but some wrasses are known for creating a plankton farm and defend the limits of their plantation. Stay still facing them and you will unleash its “fury”.
Moon Wrasse _ Thalassoma lunare

One close pic of the moon wrasse, look at his pectoral fins and the face pattern. This one is really common.
Bird Wrasse _ Gomphosus varius

This is the Bird Wrasse, identified by its long snout, like a hummingbird. There are 2 species with a similar appearance (diference is on its colors). This one is a female, the terminal tail white bar shows it.
Chekerboard wrasse _ Halichoeres hortulanus

This curious fish came very close to my camera. As many wrasses, it is small in size and very beautiful. Its curiosity resulted in a very beautiful photograph!
Blackeye Thicklip Wrasse _ Hemigymnus melapterus

The Blackeye Thicklip Wrasse or Half and Half Wrasse. Two Characteristics identify this fish: its terminal mouth “thick lips” and the fact it has 2 diferent colors in each half of the body. They filter some sand to eat and are most likely to get a crowd of fishes around to get some food waste.
False Cleaner _ Aspidontus taeniatus

The false cleanerfish mimics the movements of the cleaner wrasses, this just to get a chance to get closer to other fishes and bite them. What a son of a fish!
Yellowtail Demoiselle _ Neopomacentrus azysron

In big schools near big corals or on the edge of a coral reef barrier. Nice flashy yellow tails.
Lemon Damselfish _ Pomacentrus moluccensis

These hard corals inhabitants are found mostly in smal groups. Very common in most places when you visit the Andaman Sea.

Reticulate Dascyllus _ Dascyllus reticulatus

I only saw this exemplar there. It is said that this fish is very territorialist, maybe that is why he was standing almost alone in this staghorn coral.
Vanikoro Sweeper _ Pempheris vanicolensis

A common fish on the shallow coral area. They are part of the sweeper family, nocturnal fishes that can be seen by day at shady areas. Sometimes, big schools of them can be found.

Redcoat Squirrelfish _ Sargocentron rubrum

This fish is part of the sub-family of the squirrelfishes. They are nocturnal hunters, but you can found some behind some corals shadow at day. They have big eyes and horizontal red-and-white stripes.
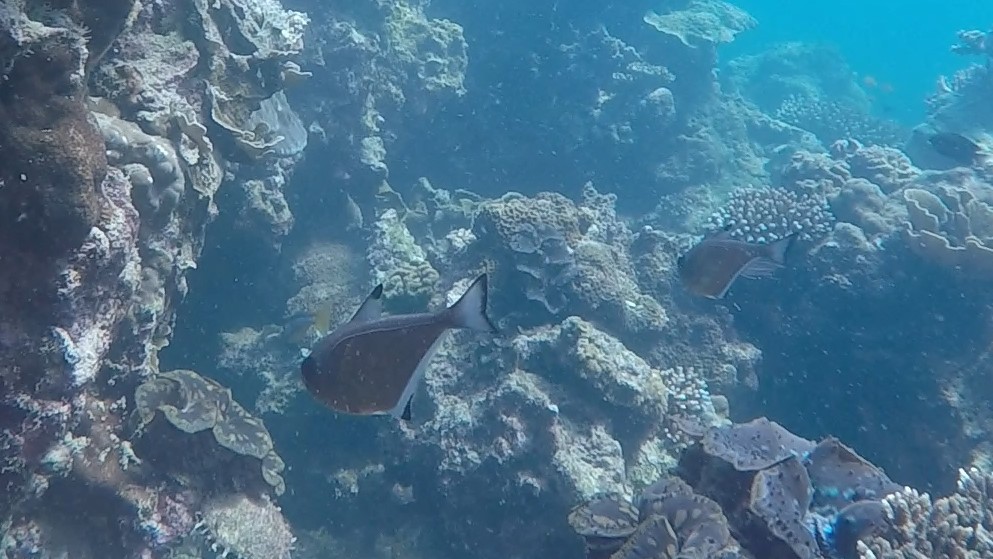
Two-spot banded snaper _ Lutjanus biguttatus

Common fishes, they present three main horizontal lines: white, black and grey colors. On the upper grey line, they present 2 white spots. Nice yellowtail too.
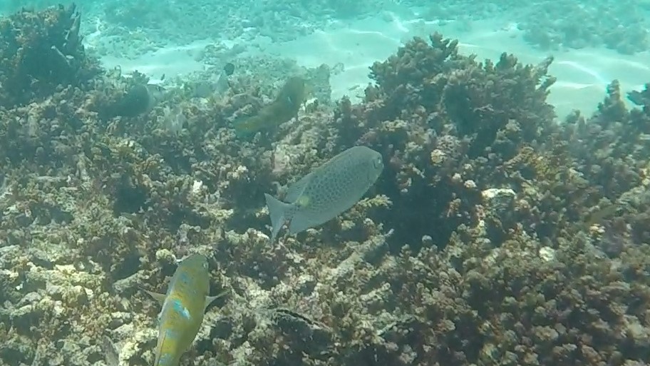
Golden-lined Spinefoot _ Siganus lineatus

Diurnal fishes from the rabbitfishes family, they are notorious for its venomous fins spines. These species have a golden spot near its tail.

Streaked Spinefoot _ Siganus javus

Another example of the rabbitfish family, or spinefoot family. They have nice white irregular lines. Popular in shallow water, they feed on algae attached to the corals.

Starry Grouper _ Cephalopholis polyspila

A nice grouper example. A brown fish with some vertical grey bars. Covered by pale blue spots on head, body, and tail. Feed from zooplankton, fish, and crustacean. They are ambush predators, almost always near its coral dens.

Fried Egg Nudibranch _ Phyllidia varicosa

This is a nice example of nudibranch. The term nudibranch comes from the latin “nudus”, meaning nude; plus the greek word “brankhia”, meaning gills. Its tubercles are covered by yellow, resembling the egg yolks.
Sea Anemone _ Heteractis magnifica

This is the magnificent sea anemone in its open phase. When it is closed or half-closed, you can see its colorful column. The species name magnifica comes from the beautiful different colors their column can get.
Banded Sea Urchin _Echinothrix calamaris

They present two main group of spines. The longer and thicker ones are in white/black colors. The little ones are said to deliver the nastier sting. There is a white sac in the center of the animal, it is known as anal sac and is believed to be used to eject the feces away from the body.
Giant clam _ Tridacna sp.

These big clams mantles have many different colors. With the help of the zooxanthellae (microscopic algae living in conjunction with the clam), they produce the calcium to create those hard shells for its protection.

Overall: I really liked this snorkeling a lot. Good visibility, good variety of fishes and corals. Recommended!
See also:
